½ÚÄÜ»·±£
ÐÅÐÄ2022 | ºÓÄÏÈðÌ©£º×°Åäʽ½ÚÄÜÒ¤³ÄÊÖÒÕÖúÍÆË®Ä๤ҵ½ÚÄܽµÌ¼
ȪԴ£º6686ÌåÓý - Á÷ͨÊײ¥È«ÇòÀºÇò×ãÇòÈÈÃÅÈüÊÂ×ÜÔº¡¢ÈðÌ©¿Æ¼¼ Ðû²¼Ê±¼ä£º2022-05-20
6686ÌåÓý - Á÷ͨÊײ¥È«ÇòÀºÇò×ãÇòÈÈÃÅÈüʼ¯ÍŸ÷¼¶ÆóҵսʤÒßÇéÓ°ÏìµÈÌôÕ½£¬£¬£¬£¬£¬£¬Ò»·½Ãæ½ô×¥Õ½Òß±£¹©£¬£¬£¬£¬£¬£¬Ò»·½Ãæ½ôץı»®ÖÎÀí¡£¡£¡£¡£¡£¡£¡£¡£2022Äê5ÔÂ11ÈÕ¼¯ÍÅÔ¶ÈÊÂÇé»á׼ȷÆÊÎöÑÐÅо¼ÃÐÎÊÆ£¬£¬£¬£¬£¬£¬Ã÷È·Ìá³öϵÁÐÓ¦¶Ô²½·¥£¬£¬£¬£¬£¬£¬ÒªÇó¸÷¼¶ÆóÒµ¼á¶¨ÐÅÐÄ¡¢¶¢½ôÄ¿µÄ¡¢Á·ºÃÄÚ¹¦¡¢Ðͬ×÷Õ½£¬£¬£¬£¬£¬£¬Ç¿»¯¡°Èý¾«ÖÎÀí¡±¡¢×¢ÖØÊÝÉí½¡Ì壬£¬£¬£¬£¬£¬Ç¿»¯ÓÅ»¯Éý¼¶¡¢×¢ÖØÇ¿Éí½¡Ì壬£¬£¬£¬£¬£¬ÇÐʵ½µµÍ±¾Ç®¡¢½ô¶¢Êг¡¡¢ÌáÉýÏúÊÛˮƽ......È«Á¦ÒÔ¸°ÎÈÔöÌí£¬£¬£¬£¬£¬£¬ÓÄѶøÉÏ×¥Éú³¤¡£¡£¡£¡£¡£¡£¡£¡£ÏÂÃæ¸úСÁÏÒ»ÆðÈ¥¿´¿´£¬£¬£¬£¬£¬£¬¼¯ÍÅÆóÒµ½ÓÄÉÁËÄÄЩÓÐÁ¦²½·¥¡¡
ºÓÄÏÈðÌ©£º
×°Åäʽ½ÚÄÜÒ¤³ÄÊÖÒÕÖúÍÆË®Ä๤ҵ½ÚÄܽµÌ¼
6686ÌåÓý - Á÷ͨÊײ¥È«ÇòÀºÇò×ãÇòÈÈÃÅÈüÊÂ×ÜÔºËùÊôÈðÌ©¿Æ¼¼³ÉÔ±ÆóÒµºÓÄÏÈðÌ©³Ð¼Ì¡°Á¢Òì¡¢¼¨Ð§¡¢Ðµ÷¡¢ÔðÈΡ±µÄ½¹µã¼ÛÖµ¹Û£¬£¬£¬£¬£¬£¬¾ÓÉÊ®¶àÄêµÄÉú³¤£¬£¬£¬£¬£¬£¬ÏÖÒÑÓµÓÐ3Ìõ¸ßµÈ¼îÐÔÄÍ»ðÖÊÁÏÉú²úÏߣ¬£¬£¬£¬£¬£¬²¢Å䱸ÁËÅ̹ÜÎü¸½Ê½ÓàÈȽÓÄÉϵͳ¡£¡£¡£¡£¡£¡£¡£¡£ºÓÄÏÈðÌ©×¢ÖØ¸ßι¤ÒµµÄ½ÚÄܽµÌ¼£¬£¬£¬£¬£¬£¬Êǹú¼Ò¼¶ÂÌÉ«¹¤³§£¬£¬£¬£¬£¬£¬×Ô2016ÄêÀ´Ò»Ö±ÖÂÁ¦ÓÚ×°Åäʽ½ÚÄÜÒ¤³ÄÊÖÒÕÔÚË®Ä๤ҵµÄÓ¦ÓÃÑо¿£¬£¬£¬£¬£¬£¬ÏȺóͬºÓÄÏÖÐÁªÍ¬Á¦¡¢É½¶«¹¤ÌÕÔºµÈ¶à¼Òµ¥Î»ÍŽáÁ¢Òì¹¥¹Ø²¢ÊµÑéÁ˹¤Òµ¹¤³Ì»¯¡£¡£¡£¡£¡£¡£¡£¡£ÏÖÔÚÓ¦ÓÃÓÚºÓÄÏÖÐÁªÍ¬Á¦¡¢É½¶«¼°ÄÏ·½Ë®ÄàµÈ9Ìõ5000t/dË®ÄàÊìÁÏÉú²úÏߣ¬£¬£¬£¬£¬£¬½ÚÄܽµÌ¼Ð§¹ûÓÅÒì¡£¡£¡£¡£¡£¡£¡£¡£

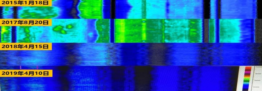
Ë®ÄàÒ¤Ö÷»úʵʱµçÁ÷±ÈÕÕ

Ë®ÄàҤͲÌåζÈɨÃè±ÈÕÕ
ºÓÄÏÖÐÁªÍ¬Á¦µÄÂåÑôÖÐÁª5000t/dË®ÄàÒ¤ÊÇ×îÔçʹÓÃÒÔÆøÄý½ºÎª¸ôÈÈÖÊÁϵÄ×°Åäʽ½ÚÄÜÒ¤³ÄÊÖÒյĹ¤Òµ»¯ÏîÄ¿£¬£¬£¬£¬£¬£¬¾±ÈÕղⶨ£¬£¬£¬£¬£¬£¬ÓëÆöÖþ¹Å°åÄÍ»ðשÏà±È£¬£¬£¬£¬£¬£¬¸ÃÊÖÒÕÓÐÓýµµÍҤͲÌåÍâòζÈ90-130¡æ£¬£¬£¬£¬£¬£¬»Ø×ªÒ¤Ò¤³ÄÖÊÁÏÕûÌåÖØÁ¿½µµÍ122t£¬£¬£¬£¬£¬£¬½µµÍ·ù¶ÈΪ18.8%£¬£¬£¬£¬£¬£¬»Ø×ªÒ¤Ö÷»úÔËÐеçÁ÷Ͻµ250-300A£¬£¬£¬£¬£¬£¬¶ÖÊìÁÏ×ۺϵçºÄϽµ1-2kWh£¬£¬£¬£¬£¬£¬Êµ²â¶ÖÊìÁϱê׼úºÄ½µµÍ1.0-3.5kg£¬£¬£¬£¬£¬£¬È¡µÃÁËÇáÁ¿½Úµç¡¢±£Î½ÚúºÍÄܺļõ̼µÄÏÔÖøÐ§¹û¡£¡£¡£¡£¡£¡£¡£¡£Í¬Ê±£¬£¬£¬£¬£¬£¬ÉճɴøÒ¤³ÄËù¹ÒµÄҤƤ±¡¶øÖÂÃÜÀο¿£¬£¬£¬£¬£¬£¬²»µ«Ê¹Ò¤³ÄµÄÊÂÈËÇé»ñµÃÁ˺ܺñ£»£»£»£»£»£»£»¤£¬£¬£¬£¬£¬£¬»¹ÔöÌíÁËÒ¤ÄÚÓÐÓýØÃæ»ýÔ¼9.35%£¬£¬£¬£¬£¬£¬ÊµÏÖÁËÀ©¾¶Ôö²ú£¬£¬£¬£¬£¬£¬È¡µÃÁËÓÅÒìµÄ¾¼ÃÐ§ÒæºÍÂÌÉ«½µÌ¼µÄÉç»áÐ§Òæ¡£¡£¡£¡£¡£¡£¡£¡£
ÊÖÒÕÔÀíºÍËÄ´óÁ¢Òì ÊÖÒÕÔÀí
×°Åäʽ½ÚÄÜÒ¤³ÄÔËÓÃÁË·Ö¶Îʽõè¾¶¸ôÈÈÔÀí£¬£¬£¬£¬£¬£¬ÐγÉÁ˰üÀ¨ÊÂÇé²ã¡¢¹¦Ð§²ãºÍ±£Î²ãµÄ¹¦Ð§Ò»Ì廯¼¯³ÉÄ£¿£¿£¿£¿£¿£¿£¿£¿é£¨PUC£©½á¹¹£¬£¬£¬£¬£¬£¬´´Á¢ÁËÆøÄý½ºÖÊÁÏÐÔÄÜʩչÎȹ̵ÄÈÈÁ¦³¡ºÍÓ¦Á¦³¡¡£¡£¡£¡£¡£¡£¡£¡£¸ßÎÂÊÂÇé²ã½ÓÄÉ΢¿×ÇáÁ¿»¯ÄÍ»ðש£¨Î人¿Æ¼¼´óѧ¿Æ¼¼Á¢ÒìЧ¹ûת»¯£©£¬£¬£¬£¬£¬£¬ÓëÒ»Ñùƽ³£ÄÍ»ðשÏà±È¾ßÓеÍÃܸßÇ¿ºÍµÍµ¼ÈȵÄÊÖÒÕÌØÕ÷£¬£¬£¬£¬£¬£¬Äܹ»ÔÚ¶Ô¿¹¸ßÎÂÏÂË®ÄàÎïÁϵÄÇÖÊ´ºÍ³åÏ´×÷ÓÃÌõ¼þÏÂÆðµ½½µµÍµ¼ÈȵÄ×÷Ó㻣»£»£»£»£»£»±£Î²ã½ÓÄÉ¿óÎï¼¶ÆøÄý½º¸ôÈÈÖÊÁÏ£¨É½¶«¹¤ÌÕÔºÑб¬·¢²ú£©£¬£¬£¬£¬£¬£¬¾ßÓг¬µÍµÄµ¼ÈÈϵÊýºÍÓÅÒìµÄ½á¹¹ÎȹÌÐÔ£¬£¬£¬£¬£¬£¬Äܹ»ÏÔÖø½µµÍҤͲÌåµÄÍâòζȣ»£»£»£»£»£»£»¹¦Ð§²ãÉèÖÃÁËÖ§³Ö½á¹¹£¬£¬£¬£¬£¬£¬Äܹ»×èÖ¹ÆøÄý½º±£Î¸ôÈÈÖÊÁÏÔÚÔËÐÐÀú³ÌÖÐÒòÊÜÓ¦Á¦×÷Óñ¬·¢±äÐζøÊ§È¥¸ôÈÈÐÔÄÜ£¬£¬£¬£¬£¬£¬°ü¹ÜÁËÒ¤³Ä½á¹¹µÄÇå¾²ÐÔºÍÄÍÓÃÐÔ¡£¡£¡£¡£¡£¡£¡£¡£

Ä£¿£¿£¿£¿£¿£¿£¿£¿é»¯½ÚÄÜÒ¤³Ä×é¼þ£¨PUC£©
ËÄ´óÁ¢Òì ÖÊÁÏÁ¢Ò죺ͨ¹ýÔλÆÊÎöºÏ³ÉÊÖÒÕÖÆ±¸¾ßÓе͵¼ÈÈÌØµãµÄÇáÁ¿»¯×©£¬£¬£¬£¬£¬£¬ÐγÉÁËÄÍ»ðÊÂÇé²ã×Ô±£Î¾§Ïà½á¹¹¡£¡£¡£¡£¡£¡£¡£¡£Ôö½ø½ÚÄÜÒ¤³ÄµÄ¿ÆÑ§Î¶ÈÌݶÈÂþÑܲ¢ÊµÏÖ·Ö²ã¸ôÈÈ¡£¡£¡£¡£¡£¡£¡£¡£ ½á¹¹Á¢Ò죺ͨ¹ý½á¹¹¹¦Ð§Ò»Ì廯¼¯³ÉÖÆÔìÊÖÒÕ£¬£¬£¬£¬£¬£¬ÐγɺÏÀíµÄζȳ¡£¬£¬£¬£¬£¬£¬²¢Í¨¹ý¹¦Ð§²ãµÄ¿Õ¼äÇå¾²Éè¼Æ£¬£¬£¬£¬£¬£¬Ê¹¸ßÎÂÐÔÄܲî±ðµÄ¸÷²ÄÖÊÖÆÆ·¾ù´¦ÔÚÇå¾²Îȹ̵ÄÓ¦Óó¡¾°ÖС£¡£¡£¡£¡£¡£¡£¡£ Ó¦Óó¡¾°Á¢Òì£ºÎªÆøÄý½ºÖÊÁÏÔÚ¸ßÎÂҤ¯µÄÓ¦ÓÃÌṩÁËÇå¾²ÔØÌå¡£¡£¡£¡£¡£¡£¡£¡£ ÖÇÄÜ»¯Ó¦ÓÃÁ¢Ò죺½«ÖÇÄÜ»¯¡¢ÐÅÏ¢»¯ÊÖÒÕÓë½ÚÄÜÒ¤³ÄµÄÉú²ú¡¢Ê©¹¤¹¤ÒÕÏàÍŽᣬ£¬£¬£¬£¬£¬Ñз¢Éè¼ÆÁË×°ÅäʽÖÇÄÜ×°ÖÃ×°±¸ºÍÖÇÄÜ×Ô¶¯»¯PUC¼þÉú²úÏß¡£¡£¡£¡£¡£¡£¡£¡£

¸÷¼¶¡¢¸÷½çÏòµ¼×¨¼Òµ÷ÑÐÖ¸µ¼ÊÂÇé
¸ÃÏîÄ¿ÓÐÓýµµÍÁËË®ÄàÉÕ³ÉϵͳµÄÄÜÔ´ÏûºÄºÍ̼ÅÅ·Å£¬£¬£¬£¬£¬£¬ÎªË®ÄàÐÐÒµµÄ½µ±¾ÔöЧºÍÂÌÉ«Éú³¤ÌṩÁËмƻ®£¬£¬£¬£¬£¬£¬Êܵ½¸÷¼¶Ïòµ¼¡¢×¨¼ÒµÄ¸ß¶È¹Ø×¢Ó붦Á¦´ó¾ÙÖ§³Ö¡£¡£¡£¡£¡£¡£¡£¡£2018Ä꣬£¬£¬£¬£¬£¬¸ÃÏîÊÖÒÕ¾ÖпÆÔºÔºÊ¿¡¢¸ßУ½ÌÊÚºÍÐÐҵר¼ÒÅäºÏÆÀÉ󣬣¬£¬£¬£¬£¬È϶¨Îª¡°º£ÄÚÍâÊ×´´£¬£¬£¬£¬£¬£¬¹ú¼ÊÁìÏÈ¡±£¬£¬£¬£¬£¬£¬²¢ÏȺóÈëÑ¡Á˹ú¼Ò¹¤ÐŲ¿¡¶¹¤Òµ½ÚÄÜÊÖÒÕ×°±¸ÍƼöĿ¼¡·ºÍ·¢¸Äί¡¶ÂÌÉ«ÊÖÒÕÍÆ¹ãĿ¼¡·£¬£¬£¬£¬£¬£¬Ó®µÃÁ˸ßÎÂÐÐÒµµÄÆÕ±é¹Ø×¢ºÍÔÞÓþ¡£¡£¡£¡£¡£¡£¡£¡£
ΪȫÁ¦ÍÆÏÂÊÖÒÕ¹¥¹Ø£¬£¬£¬£¬£¬£¬¼ÓËÙÍÆ¹ã½ø¶È¡£¡£¡£¡£¡£¡£¡£¡£2021Ä꣬£¬£¬£¬£¬£¬¸ÃÏîÄ¿±»6686ÌåÓý - Á÷ͨÊײ¥È«ÇòÀºÇò×ãÇòÈÈÃÅÈüʼ¯ÍÅÁÐÈëÔ´´ÊÖÒÕ²ßÔ´µØºÍÒªº¦½¹µãÊÖÒÕ¹¥¹Ø¡°½Ò°ñ¹Ò˧¡±ÏîÄ¿Çåµ¥¡£¡£¡£¡£¡£¡£¡£¡£2022Äê3ÔÂ4ÈÕ£¬£¬£¬£¬£¬£¬6686ÌåÓý - Á÷ͨÊײ¥È«ÇòÀºÇò×ãÇòÈÈÃÅÈüʼ¯Íŵ³Î¯¸±Êé¼Ç¡¢×Ü˾ÀíÀîлªÏòµ¼6686ÌåÓý - Á÷ͨÊײ¥È«ÇòÀºÇò×ãÇòÈÈÃÅÈüʹɷݹ«Ë¾µ³Î¯Î¯Ô±¡¢¸±×ܲÃÓàÃ÷Ç壬£¬£¬£¬£¬£¬6686ÌåÓý - Á÷ͨÊײ¥È«ÇòÀºÇò×ãÇòÈÈÃÅÈüÊÂ×ÜÔºµ³Î¯Êé¼Ç¡¢¶Ê³¤ÂíÕñÖé±È¼°ºÓÄÏÈðÌ©¾ÙÐÐרÌâµ÷ÑкÍÊÂÇéÖ¸µ¼¡£¡£¡£¡£¡£¡£¡£¡£
ÐͬÁ¢ÒìÒýÁ죬£¬£¬£¬£¬£¬Óµ£ÑëÆóʹÃü
¹ú×ÊÑëÆóÊÇ×ßÊ¢Òâϵ¡°¹úÖ®´óÕß¡±µÄµÚÒ»·½Õ󣬣¬£¬£¬£¬£¬¼ç¸º×ÅÉú³¤×³´ó¹úÓо¼ÃµÄÖØÈΡ£¡£¡£¡£¡£¡£¡£¡£×ߺõÚÒ»·½Õ󣬣¬£¬£¬£¬£¬Òâζ×ÅÒª³åÔÚ×îÇ°Ãæ£¬£¬£¬£¬£¬£¬×öÍ·Ñ㣬£¬£¬£¬£¬£¬µ±±ê¸Ë£¬£¬£¬£¬£¬£¬Òª¾ßÓиÒÓÚ¡°³Ôó¦Ð·¡±µÄÁ¢Ò쾫Éñ¡£¡£¡£¡£¡£¡£¡£¡£ÐÄϵ¡°¹úÖ®´óÕß¡±£¬£¬£¬£¬£¬£¬²»»áÖ»¹ËÆóÒµÖ®Àû£¬£¬£¬£¬£¬£¬Ò²²»»áÖ»¼ÆÑÛǰ֮Àû¡£¡£¡£¡£¡£¡£¡£¡£Ë×»°Ëµ¡°ÍòÊ¿ªÍ·ÄÑ¡±£¬£¬£¬£¬£¬£¬ÈκÎÇ㸲ÐÔÁ¢ÒìµÄ×îÏȶ¼¾ßÓв»È·¶¨ÐÔ£¬£¬£¬£¬£¬£¬Ä£¿£¿£¿£¿£¿£¿£¿£¿é»¯½ÚÄÜÒ¤³ÄÏîĿδ¹¤Òµ»¯ÊµÑéǰ£¬£¬£¬£¬£¬£¬²»È·¶¨ÒòËØ¶à£¬£¬£¬£¬£¬£¬ÉõÖÁ¾ßÓÐÒ»¶¨µÄΣº¦ÐÔ£¬£¬£¬£¬£¬£¬µ«ÔÚ¼¯ÍŵÄÍçÇ¿Ïòµ¼Ï£¬£¬£¬£¬£¬£¬ÆìϵÄË®ÄàºÍÄÍ²ÄÆóÒµÓÂÓÚ¼ÌÐø¡¢ÍŽṥ¹Ø£¬£¬£¬£¬£¬£¬ÐÐҵר¼Ò¿ÆÑ§ÂÛÖ¤£¬£¬£¬£¬£¬£¬Ê¹ÏîÄ¿ÎȲ½ÊµÑ鲢ȡµÃÓÅÒìЧ¹û¡£¡£¡£¡£¡£¡£¡£¡£³ä·ÖÑéÕ¹ÁËÖÐÑëÆóÒµµÄ×ÊÔ´ÕûºÏÓëÐͬÓÅÊÆ£¬£¬£¬£¬£¬£¬ÎªÍƽøË®Ä๤ҵÔÚ¡°Ë«Ì¼¡±¾¼ÃÅ侰ϵÄÉú³¤ÌṩÁËÔ´´ÐԼƻ®¡£¡£¡£¡£¡£¡£¡£¡£

ÖÇÄÜ×°ÅäÓ¦ÓÃÊÖÒÕ
¡¶Öй²ÖÐÑë¹úÎñÔº¹ØÓÚÍêÕû׼ȷÖÜÈ«¹á³¹ÐÂÉú³¤ÀíÄî×öºÃ̼´ï·å̼ÖкÍÊÂÇéµÄÒâ¼û¡·Ö¸³ö£ºÊµÏÖ̼´ï·å¡¢Ì¼Öкͣ¬£¬£¬£¬£¬£¬ÊÇÒÔϰ½üƽͬ־Ϊ½¹µãµÄµ³ÖÐÑëͳ³ïº£ÄÚ¹ú¼ÊÁ½¸öÕóÊÆ×÷³öµÄÖØ´óÕ½ÂÔ¾öÒ飬£¬£¬£¬£¬£¬ÊÇ×ÅÁ¦½â¾ö×ÊÔ´ÇéÐÎÔ¼ÊøÍ»³öÎÊÌ⡢ʵÏÖÖлªÃñ×åÓÀÐøÉú³¤µÄÒ»¶¨Ñ¡Ôñ£¬£¬£¬£¬£¬£¬Êǹ¹½¨ÈËÀàÔËÆøÅäºÏÌåµÄם֨ÔÊÐí¡£¡£¡£¡£¡£¡£¡£¡£
δÀ´£¬£¬£¬£¬£¬£¬ºÓÄÏÈðÌ©½«¼ÌÐø³Ð¼Ì6686ÌåÓý - Á÷ͨÊײ¥È«ÇòÀºÇò×ãÇòÈÈÃÅÈüʼ¯ÍÅ¡°ÖÊÁÏ´´Á¢ÓÅÃÀÌìÏ¡±µÄÆóҵʹÃü£¬£¬£¬£¬£¬£¬ÓÂÁ¢³±Í·¡¢Óµ£Ê¹Ãü¡¢ÓÂÅÅÍòÄÑ¡¢Óµ±¼¯ÍÅÁ¢ÒìÉú³¤µÄÏÈÐÐÕߣ¬£¬£¬£¬£¬£¬ÈÏÕæ¼ùÐÐϰ½üÒ»Éú̬ÎÄÃ÷Í·ÄÔ£¬£¬£¬£¬£¬£¬Î§Èƹú¼Ò¶Ô¸ßι¤ÒµÉú³¤Ìá³öµÄÆ«ÏòºÍÄ¿µÄ£¬£¬£¬£¬£¬£¬È«Á¦ÍƽøÂÌÉ«µÍ̼ÊÖÒÕÑз¢ºÍÍÆ¹ãÓ¦Ó㬣¬£¬£¬£¬£¬¼ÓËÙÂÌɫ֯ÔìºÍЧÀÍϵͳ½¨É裬£¬£¬£¬£¬£¬Íƶ¯ÆøÄý½ºÐÂÐÍÖÊÁÏÔÚË®Äà¡¢²£Á§ºÍÓÐÉ«µÈ¸ßι¤ÒµµÄ¹¤³Ì»¯Ó¦Ó㬣¬£¬£¬£¬£¬ÖúÁ¦»ù´¡6686ÌåÓý - Á÷³©Êײ¥È«ÇòÀºÇò×ãÇòÈÈÃÅÈüÊÂÏòן߶˻¯¡¢ÖÇÄÜ»¯ºÍÂÌÉ«»¯µÄÆ«ÏòÉú³¤¡£¡£¡£¡£¡£¡£¡£¡£
